新建复线隧道上跨既有隧道近接施工影响研究

打开文本图片集
中图分类号:U455.43 文献标识码:A DOI: 10.7535/hbgykj. 2026yx01005
Abstract: Inorder to deeply explore thescopeof impact of proximityconstruction of new tunnels and ensure the operational safety of existing tunels,thisstudy employed finite diference simulation softwareFLAC3D to constructa3Dnumerical model,basedonthebackgroundofanewdouble-tracktunnelincloseproximitytotheexisting tunnel projectin southwest region.Byintroducing displacementandstresscontrolstandardsandusingcoreevaluationindicatorssuchasliningvertical displacement,maximum and minimum principal stresses,and track bed displacement,a systematic analysis wasconducted on the proximityefects ofdifferent excavation spacingsontheexisting tunnels,therebydefiningtheimpact scope.The esults show that the displacement and stress of the tunnel structure are minimal when the excavation spacing of 6m is adopted for the sub-section tunnel face,with the existing tunnel structural displacement reduced to 0.54mm and the maximum tensile stress maintained at 0.65MPa , both meeting control requirements. Numerical calculations show that the 30m range before and after theintersectionconstitutes thecriticalstage fordeformationgrowth intheexisting tunnels,during which the maximum track bed vertical displacement reaches 0.21mm and lining structural displacement peaks at 0.47mm (concentrated in the arch waist area).Beyond thisrange,the proximityconstruction efects gradualldiminish.This studyconfirmsthatrational selectionof excavation methodsandadvancerates can significantlyreduce proximitydisturbances fromnew tunnels to existing ones, providing scientific references and engineering insights for similar tunnel proximity construction projects.
Keywords: underground engineering; proximity construction; numerical simulation; excavation spacing
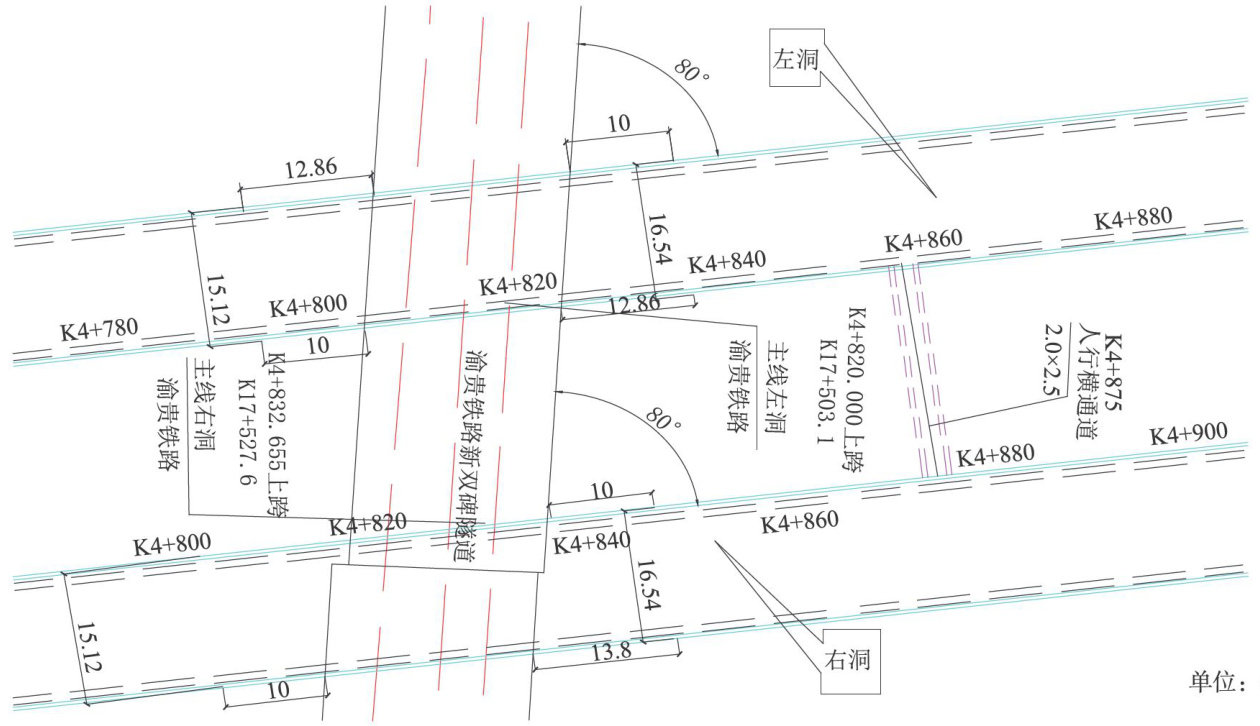
近年来,随着地面建筑及交通趋于饱和,隧道及地下结构的修建已迫在眉睫,其中公路隧道所占比例越来越高。(剩余12917字)